Beach time today was spent at Hanauma Bay, snorkeling and playing in the sand. I was super excited about taking the kids snorkeling and purchased gear for them for Christmas. We have been to the rec center several times to practice so that it wouldn't be a completely foreign experience when we went. The bay is a nature preserve and a very popular tourist site. It's popular because it's so easy to see lots of fish; the water isn't very deep, the reef forms a barrier so the water is relatively smooth, and 400 different species of fish live in the bay. It's a lot of excitement in a small area.
Because we've been waking so early, we got a good start to the day, arriving at the bay at 8:00am. You are required to watch a video at the visitor's center before you're allowed to go down to the beach, but the view as you wait is great. The video explains how the bay was formed, what you need to do to stay safe, and how you can't touch the reef or the fish. Then you have to descend to the beach level. We walked down, but with all the stuff we hauled with us, we took a shuttle back up. Totally worth $1.25/person to not have to haul everything up the really steep hill.
There were already people on the beach, but it wasn't as crowded as I imagine it gets later in the day. We all geared up and got right in the water as soon as we arrived, but unfortunately, the kids didn't last very long. They had a hard time getting the hang of the whole thing, and being in deeper water made them nervous. Kent and I each took a child and swam with them, but they gave up a bit too quickly. They claimed they just wanted to sit in the beach chairs. Yeah right.
After the kids had played in the sand for a while, we took them back out snorkeling, but we used the boogie boards to help them. The kids lay down on the boards with their snorkels and masks, put their faces in the water, and then we moved them around so they could see the fish but feel like they were a bit more controlled. They really liked that. Brandt said to me, "I thought snorkeling was going to be exciting but not fun. But it's exciting and fun." Yes. Yes indeed.
After we had been at Hanauma Bay for several hours, had played in the water, seen the fish, dug in the sand, we began to pack up to go. Brandt said to me, looking out towards the ocean, "When are we going to the beach?"
What?! I gestured around, pointing at the sand between our toes and the waves lapping up on the shore and said, "Look around Brandt. We are at the beach. We can't get any more at the beach than we are this very moment."
Convict tang
Almost all of the coral on the beach side of the reef is dead and black.
It isn't pretty at all.
Here is a tiny bit of something alive!
Convict tangs
Sailfin tang
My finger is over the lens of this picture.
It's a new camera, I was underwater, and trying to figure out what was going on.
I'm including it because I like the threadfin butterflyfish underneath Kent.
It shows just how close the fish really were.
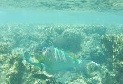
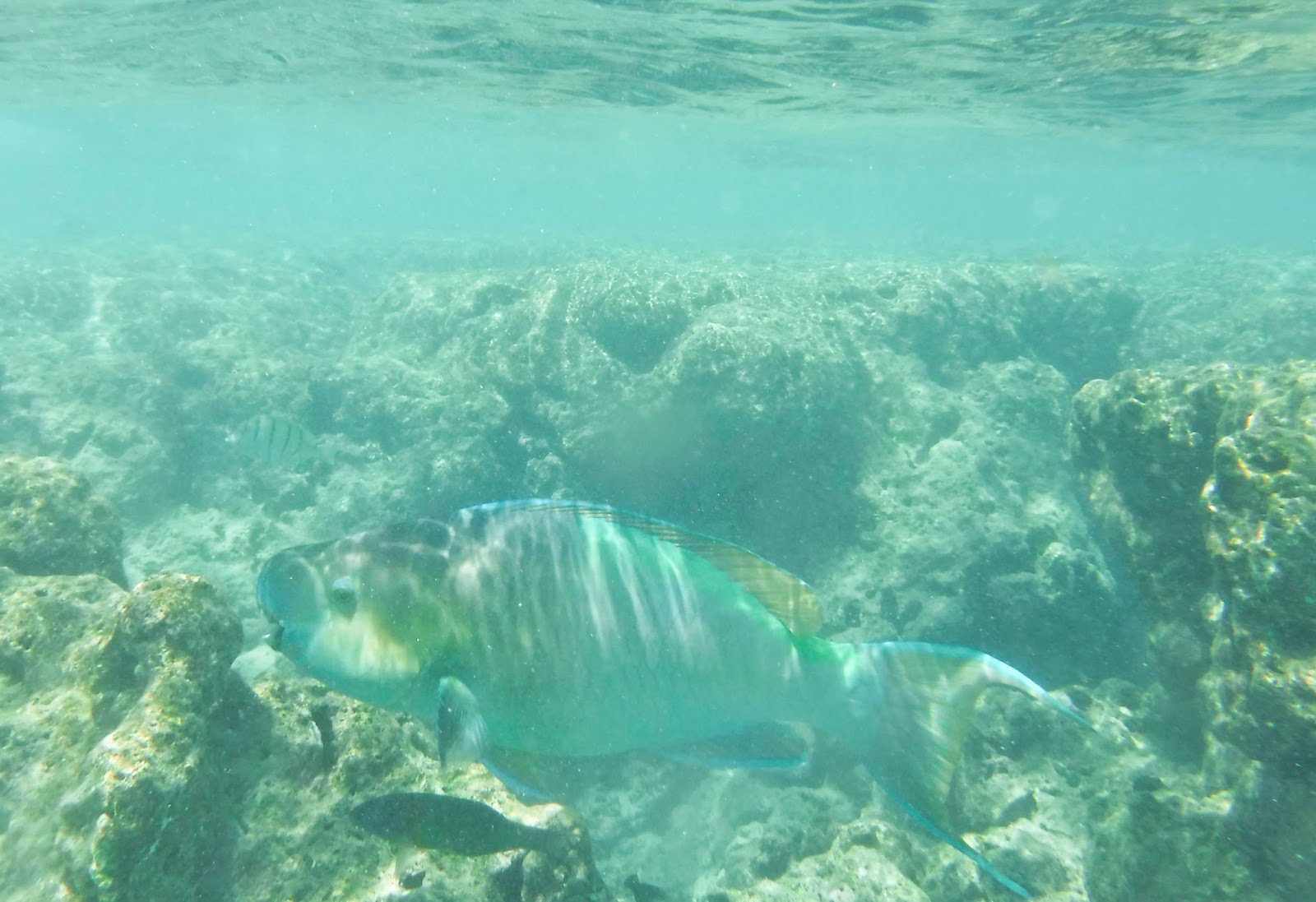
My favorite--the redlip parrotfish.
Beautiful color and such an interesting beak mouth.
After getting back from the beach (about a five minute drive from Brenda's apartment), we cleaned up, had some lunch, and went for the activity of the day. We have a Thanksgiving Point annual membership, and one of the perks is that we can get in free to similar museums throughout the country. This afternoon we went to visit the Princess Bernice Pauahi Bishop Museum, a museum established to house the extensive collection of Hawaiian artifacts and family heirlooms of the princess, the last descendant of the royal Kamehameha family. It was expanded to include millions of additional artifacts, photographs, and documents.
A charming picture of Brandt nose to nose with an Easter Island type moai.
A less charming picture of Brandt picking the same moai's nose.
What a boy.
The building itself is spectacular and the collection is very impressive. We saw native instruments, ceremonial capes, hats, and collars made of bird feathers worn by the royal family, masks, weapons, baskets, and many other artifacts. We saw a very interesting exhibit about native birds that are now extinct and species that are nearing extinction. We went to a star show in the planetarium, most of which I tried to sleep through. Blythe kept elbowing me so I would stay awake until I eventually told her to knock it off and let me "rest my eyes" if I wanted to. We finished off with a visit to Sweet: A Tasty Journey, an exhibit about candy and real life Willy Wonka candy makers. Visually it was a fun show, with interesting facts and displays of candies popular now and decades ago. The only let down and huge marketing flaw in the exhibit was that they had no place to buy actual candy. Hugely gross oversight on somebody's part. We would have bought old school candies, M&Ms, and rootbeer barrels by the pounds if they had only had them for sale. Alas! We did, however, manage to find a shaved ice place on our way home.
The interior of the original museum.
Three levels with displays cases lining each level.
The huge whale is a suspended from the ceiling, and on the rail side you can see the skeleton.
Brenda and Blythe studying the inside of the whale.
Blythe trying for a lick of a jelly belly creation.
A gross food fact.
Brent and Brenda live in a very nice area of Honolulu called Hawaii Kai, in a gated community with houses and apartments. They live in a small but lovely two-bedroom apartment on the third floor. There are two pools in their complex, as well as a common area with a bar-be-cue grill. We had a delightful evening poolside dinner, with marinated steak and chicken, fruit, and a corn and bean dip with chips. The kids swam, we adults talked, and we all enjoyed the lovely temperature and fragrant air. It was relaxing and warm and a thoroughly pleasurable evening. Brent talked about possible next postings and Brenda and I began planning our family trip to Namibia ("Ha, ha," says Kent). Blythe wanted to be in the hot tub but was too sunburned to tolerate the hot water. We are all sunburned. We reapplied sunscreen several times throughout our time at the beach, but sun after so much sun yesterday just added to the redness, in spite of our efforts.
Day two of our trip was as marvelous as day one, and we've got fun stuff to do tomorrow. Here's to our Hawaiian vacation!
Sunburn proof.
























No comments:
Post a Comment